Spielplatzerneuerung

Seit Ende 2017 werden in Schortens die Spielplätze, aufgrund eines Beschlusses des Schul-, Jugend- und Sportausschusses, schrittweise erneut. Auch die zwei Spielplätze in Grafschaft werden in 2019 und 2021 erneuert.

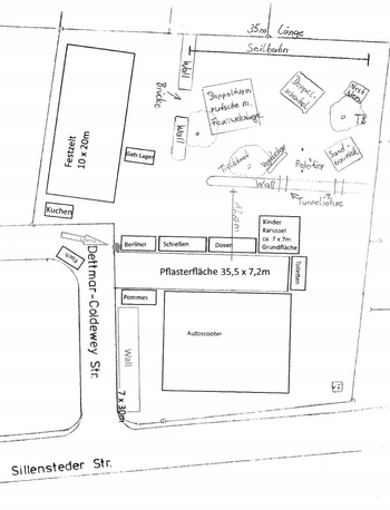
Dettmar-Coldewey-Straße

Es tut sich mächtig was auf dem Spielplatz an der Dettmar-Coldewey-Straße. Die alten Spielgeräte, bestehend aus Seilbahn, Kletterturm, Schaukel, Wippe und Sitzecke sind demontiert. Die neuen Spielgeräte sind bereits angeliefert und montiert. Momentan werden letzte Arbeiten am Spielplatz durchgeführt. Daher ist der Spielplatz weiterhin abgesperrt. Die Neuerungen sind aber schon erkennbar.

Demnächst können sich die Kinder auf einen 35m Seilbahn, einen Doppelturm mit Rutsche und Feuerwehrstange, eine Nest- und Doppelschaukel, einen Erdwall mit Brücke und Tunnelröhren sowie eine große Sandkiste freuen.

Foto grafschaft/spielplatz-planung Planung des Spielplatz

Foto grafschaft/spielplatz-november-2019 November 2019

Foto grafschaft/spielplatz-dezember-2019 Dezember 2019

Foto grafschaft/spielplatz-januar-2020 Januar 2020

Foto grafschaft/spielplatz-februar-2020 Februar 2020

Foto grafschaft/spielplatz-mai-2020 Mai 2020

Peter-Grave-Straße

Der Spielplatz Peter-Grave-Straße soll 2021 erneuert werden.